DDDD! Board

 找回密码
 立即注册
搜索
热搜: 活动 聚会 discuz
查看: 2195|回复: 0
打印 上一主题 下一主题

飓风最新动态

[复制链接]

6

主题

7

帖子

28

积分

新手上路

Rank: 1

积分
28
跳转到指定楼层
楼主
发表于 2020-8-28 08:05:53 | 只看该作者 回帖奖励 |倒序浏览 |阅读模式
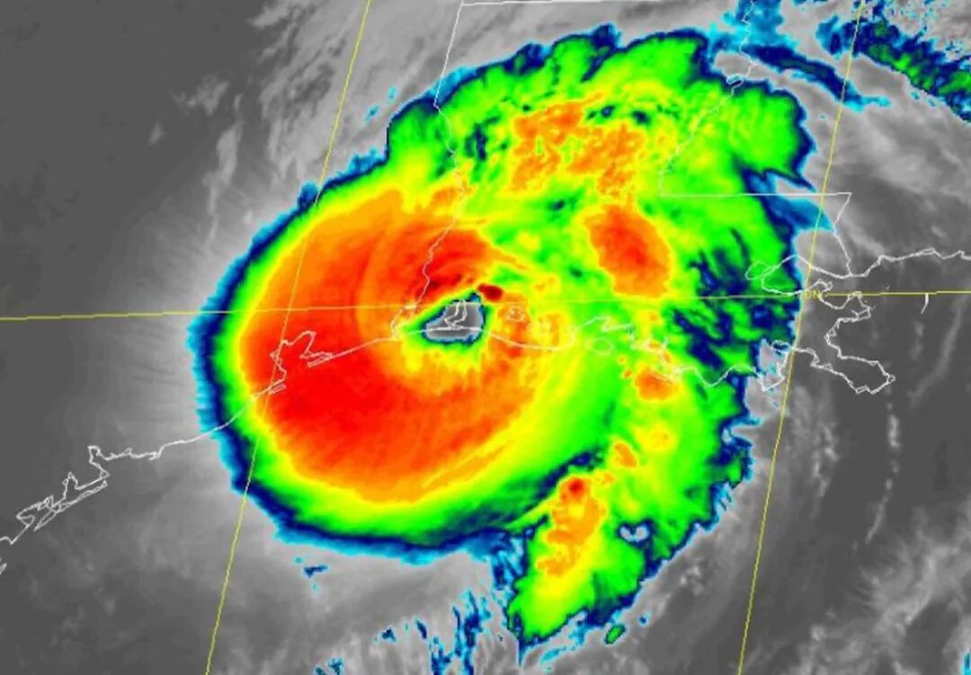
据美国国家飓风中心,劳拉在美国中部时间凌晨1点以150英里/小时(五级飓风是超过157英里/小时)的风速猛烈撞击海岸,在路易斯安那州的Cameron登陆。低洼海岸被海水淹没,气象专家称海水可能有20英尺深,无法生存。

图片:美联社


这是今年第七个袭击美国的命名风暴,创造了8月底前美国登陆飓风次数的新纪录。根据科罗拉多州立大学一名飓风研究员的说法,旧的记录是1886年和1916年的六次。


劳拉登陆后的几个小时,仍然是2级飓风,持续风速为100英里/小时(160公里/小时)。预计将在未来几小时内穿过路易斯安那州西南部向内陆移动,然后在今日下午向北移动,28日抵达阿肯色州和密西西比中部山谷,29日到达大西洋中部各州。


因为登陆发生在更东部,德州(包括Beaumont和Port Arthur)从风暴最严重的影响中幸免于难,大休斯顿地区一夜无雨,很多人严阵以待后,感觉有些“失落”。撤离的人已经可以返家了。


登陆期间,这两个州有近47万户人家和企业停电,路易斯安那州的一名14岁女孩是这起风暴的首个报告的死亡事件,因为一棵树倒在自家的后院。路易斯安那州州长发言人说:"我们确实预计可能会有更多的死亡报告"。

回复

使用道具 举报

您需要登录后才可以回帖 登录 | 立即注册

本版积分规则

Archiver|手机版|小黑屋|联系我们|广告洽谈|Nola Travel Consulting LLC.

GMT+8, 2025-11-30 03:25 , Processed in 0.041524 second(s), 19 queries .

Powered by Discuz! X3.2

© 2001-2013 Comsenz Inc.

快速回复 返回顶部 返回列表